
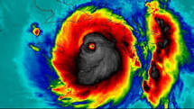
Según el Sevicio Nacional de meteorología el centro del Huracán Irma estará más cercano a San Juan entre las 8:00 p.m. y 10:00 p.m de hoy Miercóles , con vientos de alta intensidad de hasta 280 millas por hora que comenzarán de 4:00 p.m. a 5:00 p.m. hasta las 4:00 a.m. a 7:00 a.m de mañana Jueves
Por el momento el huracán Irma se aleja de las islas de Bermuda y San Martín, según reportes las personas ya se dan pisa para evacuar y a almacenar suministros como agua, comida y gasolina.
El huracán ya se dirige hacia el oeste en el Océano Atlántico , mientras tanto Puerto Rico y Florida se preparan para su llegada
Segun los expertos en meteorología Irma es el huracán más fuerte en la zona del Atlántico y fuera del Caribe y el Golfo de México nunca antes registrado
Por el momento Irma ya ha dejado 2 muertos a su paso.